유희춘 미암일기 및 미암집 목판

  • 역사
  • 문헌
  • 조선 전기
  • 국가문화유산
조선전기 문신 유희춘이 당시의 정치·사회·경제 상태와 풍속 등을 기록한 일기.
국가문화유산
집필 및 수정
  • 집필 1995년
  • 이수건 (영남대학교, 한국사)
  • 최종수정 2023년 02월 07일
유희춘 미암일기 및 미암집 목판 중 미암일기 미디어 정보

유희춘 미암일기 및 미암집 목판 중 미암일기

본 항목의 내용은 해당 분야 전문가의 추천으로 선정된 집필자의 학술적 견해로, 한국학중앙연구원의 공식 입장과 다를 수 있습니다.

정의

조선전기 문신 유희춘이 당시의 정치·사회·경제 상태와 풍속 등을 기록한 일기.

내용

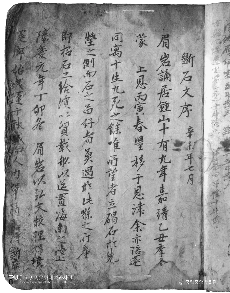
1963년 보물로 지정되었다. 12책. 행·초서체. 매 책마다 크기가 다르나 평균 39.5×31.5㎝이다. 원래는 14책이었으나 실본으로 11책이 남아 있다. 그 일기의 일부는 필자의 문집인 『미암집』에 초록, 기재되어 있다.

지금 남아 있는 것은 1567년(선조 즉위년) 10월 1일부터 1577년 5월 13일 그가 죽기 전일까지의 약 10년 동안의 친필로 쓴 일기이다. 약자·속자가 간혹 사용되었고, 오탈(誤脫)과 연문(衍文: 쓸 데 없는 글)이 간혹 개재해 있으며, 중간에 파손, 마멸된 자구와 약간 빠진 것도 있다.

명종 말 선조 초의 여러 가지 사건, 관아의 기능, 관리들의 내면 생활, 본인이 홍문관·전라도감사·사헌부관원 등을 역임하면서 겪은 사실들을 비롯해, 당시의 정치·사회·경제 상태와 풍속 등을 기록하였다.

각 책의 기재 내용을 살펴보면, 제1책은 1567년 10월 1일에서 1568년 3월 29일까지, 제2책은 1568년 3월 29일에서 12월 5일까지, 제3책은 1569년 5월 22일에서 12월 30일까지, 제4책은 1570년 4월 24일에서 7월 8일까지, 제5책은 7월 9일에서 12월 25일까지, 제6책은 12월 26일에서 1571년 12월 3일까지가 기록되었다.

제7책은 1572년 9월 1일에서 1573년 5월 26일까지, 제8책은 1573년 6월 1일에서 12월 30일까지, 제9책은 1574년 정월 1일에서 같은 해 9월 26일까지, 제10책은 1575년 10월 27일에서 1576년 7월 29일까지를 기록하였다. 제11책은 부록으로서 저자와 그 부인 송씨(宋氏)의 시문과 잡록이 각각 수록되어 있다.

1936∼1938년에 5책으로 조선사편수회에서 『조선사료총간(朝鮮史料叢刊)』 제8로 두주(頭注)·방주(旁注)를 곁들여 간행한 바 있다. 전라남도 담양군 대덕면 장산리에 소장되어 있다.

의의와 평가

이 책은 조선시대의 개인 일기로는 가장 방대한 것이다. 따라서 사료로서의 가치가 매우 크며, 이이(李珥)의 『경연일기(經筵日記)』와 함께 『선조실록』의 기사 사료가 되었다. 특히, 동서분당 전의 정계의 동향과 사림의 동태, 감사의 임체(任遞: 부임과 교체)와 순력(巡歷) 및 감사의 직무 수행, 경재소(京在所)와 유향소(留鄕所)의 조직과 운영, 중앙 관료와 지방관과의 관계에 관한 중요한 자료가 많이 실려 있다.

참고문헌

  • - 『고선책보(古鮮冊譜)』

  • - 『미암집(眉巖集)』

  • - 『한국도서해제(韓國圖書解題)』

본 항목의 내용은 해당 분야 전문가의 추천으로 선정된 집필자의 학술적 견해로, 한국학중앙연구원의 공식 입장과 다를 수 있습니다.

  • 사실과 다른 내용, 주관적 서술 문제 등이 제기된 경우 사실 확인 및 보완 등을 위해 해당 항목 서비스가 임시 중단될 수 있습니다.
  • 한국민족문화대백과사전은 공공저작물로서 공공누리 제도에 따라 이용 가능합니다.
  • 백과사전 내용 중 글을 인용하고자 할 때는 '[출처 : 항목명 - 한국민족문화대백과사전]'과 같이 출처 표기를 하여야 합니다.
  • 미디어 자료는 자유 이용 가능한 자료에 개별적으로 공공누리 표시를 부착하고 있으므로 이를 확인하신 후 이용하시기 바랍니다.
콘텐츠 이용 안내

콘텐츠 수정 요청

필수 입력 항목입니다.

주제
0 / 500자
근거 자료
첨부된 파일이 없습니다
파일선택

최대 5개, 전체 용량 30Mb 첨부 가능

작성 완료되었습니다.

작성글 확인

다운로드가 완료되었습니다.

다운로드할 미디어를 선택해주세요.

모든 필수 항목을 입력해주세요.

다운로드할 미디어가 선택되지 않았습니다.

다운로드 중 오류가 발생했습니다.

미디어 다운로드

  • 이용 목적을 상세히 작성하여 주세요.
    서비스 개선에 반영하도록 하겠습니다.

출처 표기 : [사진명] 한국민족문화대백과사전

필수 입력 항목입니다.

이용목적